Health News Just In Time For The Holidays!


I’m almost as excited as Jim Carrey’s character, Ace Ventura, to share the following news with you!

FIRST: Did you know that only ONE power toothbrush has received the American Dental Association’s Seal of Acceptance? It is a BIG deal! My weekly vlog will share 3 reasons why this honor will influence what products we buy and what products are recommended to your patients by YOUR team.

The question is has your dental professional shared this information with you? Have you seen it on their dental practice social media pages?

I can tell you that I have not seen it and yes I DO check dental practice fan pages! Why aren’t they informing their patients of this HUGE honor when 3 out of 5 of their patients will invest in the oral health product you recommend? 

SOLUTION: I’ve provided you my weekly vlog below that shares this information in a fun way! SHARE it! When your smile is fit, your health reflects it!

SECOND: I’ve had the honor to be a source in a Reader’s Digest article regarding the potential of over prescribing antibiotics for dental treatment. Check out the vlog! I’ve given you a link of the 7 questions to ask your dentist in a PDF for FREE!

Take What You Learn & Make A Difference With It!
Anastasia

What My Mom Taught Me About Giving Back

It was July 2016. I was SO excited to show my mom my Harley. This was the last picture of my mom and I. It would also be the last time I would ever feel her hug me or see her again.

My mom planted the seeds for serving others very early for me. Every week we would drive over to a senior apartment building to see a woman named “Jesse”. We would take her to lunch & get her groceries. When Jesse’s health was failing her, we continued to visit every week in the nursing home until she passed. Most Sunday’s mom went to 2 homes to share the gospel with our aging as our church’s Eucharistic minister after church. 
As a child, sometimes these visits felt like they would go on forever! Can you imagine how difficult it was to sit through a Catholic mass AND those visits with undiagnosed ADHD? 
Perhaps that is why my path of service is slightly different. In 2014, Bonnie Hixson & I decided to raise money by skydiving for Oral Cancer Cause. In 2 days, we raised $5,000, which meant you supported our mission or wanted to push us out of a plane. You did join us on social with the hash tag #LeapWithUs.
In 2016, Julie Varney & Lisa Rogers approached me to collaborate with their mission. It is designed to add value to a child’s life via health & wellness encompassing My First Dental Visit.  
What I learned from my mom is that our role to serve others in our profession or community may be a multi-faceted responsibility. What I learned from my mom is how to add value to someone’s life. What I learned from my mom is that our intentions serve others becomes a reality when our actions are the breath for hope, healing, health & wellness. 

Join us by supporting Team Anastasia
This Friday is her earthly birthday. I’ll be dedicating my part in this weekend’s event as we continue to … 
Take What You Learn & Make A Difference With It
Anastasia

Thank you to Crest Oral-B, Buffalo Harley Davidson, Revenue Well, IgniteDDS, IgniteDA, The Progressive Dentist Magazine, Odyssey Management,  Thank you Tracy Willis, Kris Walters, Michelle Wilson, Nancy Brohawn, Lev Sudakov, Dan Staversky, Khedjia Nottingham, Christopher Pitts and Jeffrey Maloff! 
 Thank you to Alex Nudel who will be riding with me and to James Wanamaker who will be representing us on the track!  Follow me LIVE on social via #Harley4Kids #AmericasDentalHygienist #ToothFairyRun17 #MyFirstDentalVisit

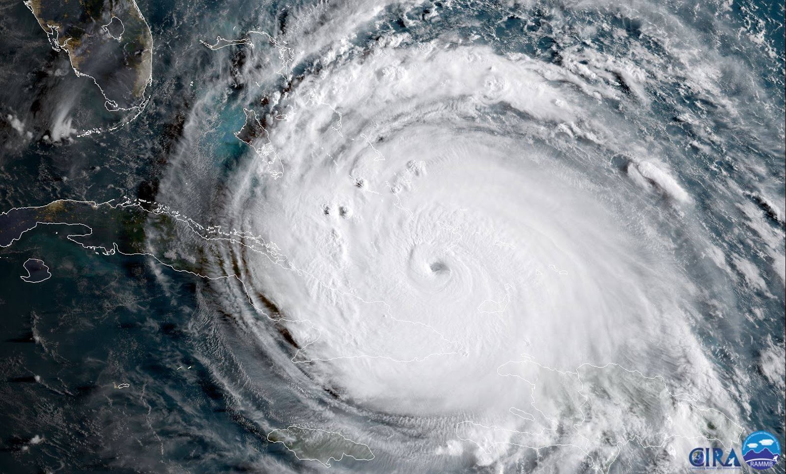
5 Least Favorite Words To Describe Hurricane Irma


Hurricane Irma was a historic storm. It was a rare Category 5 and unpredictable storm. The media gave us the facts for Irma’s size, strength and projected paths. It was time to being the preparation of safety for our families, pets, automobiles & homes.
With most of the country viewing the updates and listening to the shock-n-awe words describing Irma’s impact, a veil of anxiety wrapped tightly around an already emotionally charged nation. 
Here are the FIVE least favorite words to describe Hurricane Irma; 
1) Slamming 
2) Shredding
3) Punishing
4) Pounding
5) Hammering
* SARCASM ALERT
So I thought, what would these words sound like IF a dental professional would use them to describe the health of your smile? 
1) Gum disease is pounding away at the bone that holds your teeth in your mouth.
It is punishing your health as inflammation & inflection are now hammering the arteries to your heart and brain.
2) Pre-term births are shattering previous records as uncontrolled gum disease is relentless during pregnancy.
3) Drinking Prosecco is shredding your tooth enamel.
4) Oral malodor / bad breath is like a “nuclear” Hurricane for intimacy, self esteem, employability and possiblly profitability. 
5) Many medications & life style habits are now hammering at the health of your smile. 

In a time when crisis holds court with emotions highly charged with frustration or fear, words will have an impact. Make that impact an influential one for applicable information for preparation & safety verse for a palpable media sensation.   

5 Least Favorite Words To Describe Hurricane Irma 

My Hurricane Irma Highlights 

5 Biggest Small Business Website Blunders




Let’s assume your small business has a website. Congrats!
You currently represent approximately 49 percent of small business owners!
Now, when was the last time you updated your website?
Congrats! I believe the sound I’m hearing right now is crickets. Recently I was
seeking directions to a small business, so I did what any other 2017 individual
with a smart phone would do. Google it. Google gave me the options of
directions, phone number or their website. It had been a year since I was on
their website so I thought I’d check it out to see what was new. Nothing,
nada, zip. You lost me at outdated.
Why does that matter? Because 2 team members who are no
longer with the dental practice are still perceived to be a part of the team.
No mention of the welcoming of the new team members. Content is outdated.
Social media options are non-existent. If you want to reach today’s buyer, even
in dentistry, you must update your website often.
1. Call To Action 
Tell me
what you want me to do. Be bold! Do you want your patients to call you for an
appointment? Do you want your patients to schedule an appointment online? Do
you have a form or a page that your potential patients can view your payment
options or insurance? Your practice phone number & email must be easy to
locate on every page. Top AND bottom. If your patients have to work to find it
… the button they will choose is “next” or close.
Think
ahead about your patients. Ask them to give you a testimonial, like your social
media page, ask them how you can make your site more user friendly while
providing health services.
2.  Social Media Links
If
you blog on your website, use the links used for your quotes, have social
shares and comment boxes available.
3.  Video
Do
you have a clinical video or an influencer / expert who explains oral health in
a fun way that your patients can relate to and inquire about?
 Examples are my
interviews on Coffee Chats or topics on Hump Day Happenings.
4.  Outdated Content
Check
the last entry you have made. Share the news releases or have your twitter feed
show. You will find a vast amount of relevant information on twitter and
retweet what information aligns with your practice.
Post
content on health. Post content on digital services, CEREC, mouth guards,
dental implants, oral home care products you have in your practice. Have links
that go to those sites for more info AND have a Call To Action for questions on
any of the mentioned.
5.  Outdated Team Page
When
a team member is no longer with your practice take them off your website, your
social sites immediately.
What
does that say to a new team member when prior team members pictures / bio are
alive and well. Could it be awkward if a patient notices?
When you do hire another team member,
ask for a profile picture until you decide when to invest in updating team
photos professionally. Give a bio, their role in your practice and an option
for a patient to ask a dental assistant a question on their crown, veneer,
impressions or the dental hygienist on nutrition risk factors for tooth decay
or what to expect during pregnancy & how your dental hygiene appointment
will be valuable to both mom and unborn baby.
Websites reflect your brand, service,
and expertise. Outdated websites waste time by giving inaccurate or old
information.
You ask your patients to invest
thousands of dollars for your expertise, often being something they can’t see.
I’m asking you to consider respecting their time in something you can’t see.




I’m curious as to what YOU think about your dental practice website! 

Click on link below!

 Thanks for joining me!

Anastasia
(252) 202-9319
Take What You Learn & Make A Difference With It

            

What Your Mom Didn’t Tell You About Allergies & Oral Health


1 in 5 Americans will experience seasonal allergies as Spring begins its pollen party!

Before your cars or homes turn a hue of lime green, be prepared for what your body will be telling you!

Nasal congestion, runny nose, watery/itchy eyes, sneezing, sore throat are the symptoms of seasonal allergies.

Most often our initial relief is a form of an OTC medication. It may not lend relief to your oral health.

Here are 4 Things That Your Mom Didn’t Tell You About Allergies & Oral Health

1) Tooth Pain ~ Nasal Congestion can indeed mimic a toothache. 
2) Bad Breath ~ Post Nasal Drip Isn’t Hip And It Causes Bad Breath 
Save your job and your relationships by taking care of this! Alcohol free mouth rinses & tongue scraper for starters.
3) Dry Mouth ~ 4 or more medications cause dry mouth. Antihistamines are in that list. You need your spit. Dry mouth contributes to tooth sensitivity, increases the risk for tooth decay & makes it difficult to eat. 
4) Oral Allergy Syndrome ~ This time of year, it will likely be from birch pollen. Fruits and veges whose protein simply stirs the pot so your body reacts with itchy, tingling or swelling in your tongue, lips for a few minutes. Nectarines, peaches, apples, cherries to celery, carrots, snap peas, string beens are guilty as charged. It will last a few minutes then go away. Be careful, there are a few rare occurrences when this allergy has gotten to be a very serious one. 
SHARE | COMMENT 🙂
Anastasia
Take What You Learn & Make A Difference With It

How Parents Can Treat Their Kids Cold Sore!


Kids get cold sores too! They are painful and highly contagious! Did you know that many cold sores get misdiagnosed on younger adults as a canker sore? TRUTH!

What is the difference? How will your child know what to tell you? What can you do to lessen the duration of their cold sore?

The main difference between a canker sore & a cold sore: Canker sore is NOT a virus. 
Cold Sore Triggers:
Stress, Sunshine, Anxiety, Hormonal Changes & Weak Immune System
7 Tips To Treat Your Child’s Cold Sore
1. Place ice on it. Kids will not understand the tingling sensation in their lip, which is a symptom before the breakout of the lesion. Biting the lip will not help. Ice will help give some relief. 
Ask your child what their lip feels like to help you understand. For example, Does your lip “itch”? Does their lip feel “funny” “swollen” “puffy” , etc. 
2. Apply sunscreen lip balm. Even in these months of gray! Studies have shown that sunscreen can even prevent cold sore occurrences for those whose trigger is … sun exposure. 
3. Diet suggestions include;
Immune Boosting Foods, Vit C, Vit E, Zinc, Amino Acid L-Lysine
Hydration is key! Water is the best choice. 
4. Decrease sugar in-take. You may think that hydration includes juices, soda or other choices. Be cautious and check out the label for how much sugar is actually in that drink. 
Sugar can inhibit Vit B absorption. Vit B is known to reduce stress. Stress … a cold sore trigger! 
5. Hand hygiene before and after every cold sore cream application. Some product recommendations are more than a few times a day! Clean hands will prevent the virus from spreading to your eyes, face, mouth or infecting others. 
6. Never EVER share your cold sore treatment products. Once your lesion has healed, toss that product. This is one time where sharing is not caring! 
7. Oral hygiene. Brushing your teeth can be a challenge depending upon the size of the cold sore and location. Once that lesion has healed, to avoid a potential reoccurrence, replace your toothbrush. 
Cheers to your health!
Anastasia
Take What You Learn & Make A Difference With It

Childhood Obesity Health Risks

Childhood Obesity Health Risks | What Parents & Dental Teams Can Do Now!
Did you know that 1 in 3 kids in America are overweight or obese? Does that fact surprise or sadden you?  How is it acceptable to choose to feed kids a daily dose of emptiness from foods that will only fuel the growth of health deficient young adults? 
Information is available. Programs are available. Experts are available. Health is attainable. 
What are the health risks for childhood obesity? Let’s begin with emotional health. Low self esteem, depression, anxiety. Kids who are obese will likely be at a higher risk for bullying. 
Physical health risks are high blood pressure, elevated cholesterol levels and type 2 diabetes.
Oral / Dental health risks are increased tooth decay, tooth sensitivity, enamel erosion, gingivitis, dry mouth, ulcers, gum disease, loss of teeth
Why is there such a disconnect? Is it denial? What is the “why behind what you buy your kids to eat”? Why pursue the bargains of pizza, chicken nuggets, sugar cereals that serve little vitamins or minerals essential for oral health? What is the “why behind your buy?” Will it contribute to their health? Will it fuel their body & mind or deplete it? 
Tooth decay continues to be a childhood epidemic in America. Show me the cause of tooth decay and I’ll show you its connection to nutrition. 
As a dental hygienist, I can share with you the hours we are educated on nutrition. We must continue to inform ourselves to best serve you … our patients and your families. 
Let’s start with discussing the amount of sugar that is in juice boxes, energy drinks, soft drinks, sports drinks. How many times per day and how much is being ingested before it is time for bed? 
Stop being quiet about kids’ diet … period. It is time for dental teams to initiate and lead a discussion regarding obesity and dental health risks  during your health & wellness visit. Dental teams can work together with nutritionalists and/or holistic nutritionalists. Dental hygienists can recommend xylitol products that will help decrease tooth decay. Assessing your child’s oral current oral health begins with establishing them with a dentist. 
The risk for pursuing health is prevention. It will save you money, encourage your child’s self esteem, and nurture a life they will get to live fully. Isn’t that a risk … worth taking?
Anastasia
Take What You Learn & Make A Difference With It

Colin Kaepernick & NFL | National Anthem Protest

This week’s vlog, Anastasia’s Hump Day Happenings, was inspired by NFL QB Colin Kaepernick and his choice to sit down for our national anthem. My delivery was inspired by the great Andy Rooney.

Appreciate your comments, shares using #WTHNFL 🙂

Until next Wednesday,

Anastasia

www.AnastasiaTurchetta.com

Take What You Learn & Make A Difference With It

Thanksgiving Fun + Black Friday Special

Click here for Black Friday Special!! Your Chance to Win a $50 Starbucks Card! Coffee Clink To That!


Make it a Thanksgiving!


Anastasia


www.AnastasiaTurchetta.com
Take What You Learn & Make A Difference With It